What was the last thing you searched for online? Why were you looking for it?
Jet Pack Prompt – 8/30/23
“Hurricane season brings a humbling reminder that despite our technologies, most of nature remains unpredictable.” (Diane Ackerman)
Hurricane season’s heating up again in South Florida during its rainy season where I reside. So such frequently low pressure weather conditions there dictate it’s of vital importance that I furiously track online the latest hurricane data about Atlantic Ocean and Gulf of Mexico tropical disturbances. In fact, I’ve been doing so ever since I moved to Hollywood, Florida in my youth when the only hurricane information available to me in the 1970s happened to be those annually distributed newspaper insets from the Miami Herald published to plot the exact latitude and longitude of the latest storm on a print map.
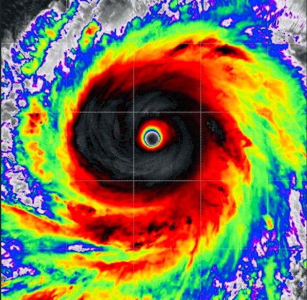
In contrast to such simplistic weather search efforts in paper and pencil times, I now feel more like a meteorologist with such a wide range of detail available for me to digest online about hurricanes in motion. For one, there’s the simple tracking map available on several of my apps like the Weather Channel which predict cone of probability locations where and when a storm will strike.Then there’s the satellite look of a hurricane from the depths of space above reported by “N.OA.A.”, whereby I notice the rain and cloud density bands spread out around the “eye” for me to discern the so called “dirty” (more intense) side of a storm. For a more specialized analysis of a hurricane, of course I can also go through those color coded isobars of varying wind, rain, air pressure and tidal surge variations reported regularly by local weather media affiliates. While for observing the latest “3D” sightings of impacted hurricane locations, I can rely on those “Earth Cam” maps, as well, to pinpoint places that reveal live impact looks of inflicted hurricane damage.
For greater depth analysis, there’s also my most recent addition to this online hurricane entourage which goes by the amusing website database name called “Wobble Tracker”, where I can actually view the unpredictable patterns of hurricane movement that veer off and on the projected track. Such specialized data these days can even reveal that a hurricane might even do a 360 degrees circle back to a previous point of land impact for a second time strike.
As you can tell then from my photo collection below regarding Hurricane Idalia, I’m just a bit “O.C.D.” when it comes to the onset of hurricane season. But as you and I both know, one cannot ever control the weather. So as hurricanes come and go as they please, does it make good sense as well for us as humans to become “control freaks” and strive to do the same?







You must be logged in to post a comment.